Plans for the Site

Chapman Design LLP have been commissioned to prepare a feasibility study only, of the number of future dwellings it may be possible to achieve on the site.

This is not a planning feasibility study and does not account for the requirement for affordable housing.

We have referred to Solihull Borough Council Supplementary Planning Documents in the preparation of the site layouts.

These set out factors such as the required distances between dwellings, number of parking spaces, parking spaces and road sizes etc.

The layouts also comply with the current (2023) national space standards for the size of dwellings, as set out by the Government Technical housing standards – nationally described space standards.

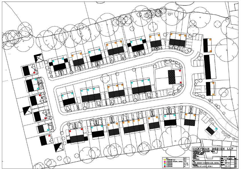
Proposal 1

This proposal exceeds the housing standard average of 40 dwellings for a 2-hectare site, with a total of 63 dwellings. As can be seen there is a good mixed density with this proposal and good mix of detached and semi-detached. The density is increased by the flats and triple and quadruple bank of dwellings.

Summary of unit number for Proposal 1

  • One bed flats= 6

  • Two bed semi-detached house= 27 (4 have garages)

  • Three bed semi-detached house= 20 (4 with garage)

  • Three bed detached dwelling=1

  • Three bed bungalows=1

  • Four bed semi-detached dwelling= 4 (with garage)

  • Four bed semi detached dwelling= 4 (with garage)

  • Total = 63 units

Sizes

  • 1 Bed - (2p)= 50 sq.m/635 sq.ft

  • 2 Bed - (4p)= 79sq.m/850 sq.ft

  • 3 Bed - (5p)= 93sq.m/1000 sq.ft

  • 3 Bed - (6p)= 102sq.m/1097sq/ft

  • 4 Bed - (6p)= 106sq.m/1140sq.ft

  • 4 Bed - (7p)= 115sq.m/1237sq.ft

  • 4 Bed - (8p)= 124sq.m/1334sq.ft

Proposal 2

This proposal takes account of the large number of trees to the boundaries of the site.

A tree survey has not been undertaken as yet and it is unknown if any of these trees are protected.

Moving the dwellings away from boundaries reducing the chance of there being planning issues due to the proximity of the houses to the trees.

This is a more luxurious layout, with much more spaces around the houses, dedicated garages, and large gardens.

Summary of unit number for Proposal 2

  • Two bed semi-detached house= 4

  • Three bed semi-detached house= 20 (8 with garages)

  • Three bed detached house=2

  • Four bed semi-detached house= 4 (with garages)

  • Four bed detached house= 7 (with garages)

  • Total= 37 units

Proposal 3

This proposal exceeds the housing standard average of 40 dwellings for a 2-hectare site, with a total of 71 dwellings.

There is less of a mixed density with this proposal, with all garages being removed and an increased number of triple and double banks, with less detached and four-bedroom dwellings.

This option aims for the absolute maximum density on the site.

Summary of unit number for Proposal 3

  • One bed flats= 6

  • Two bed semi-detached house= 35

  • Three bed semi-detached house= 25

  • Three bed bungalow=1

  • Four bed semi-detached dwelling= 4

  • Total= 71 units

Examples of planning Documents referred to

Proposed Aesthetic

The proposed aesthetic would depend on which type and mix would be proposed. Below are some images of indicative dwellings styles and material palette for the new site.